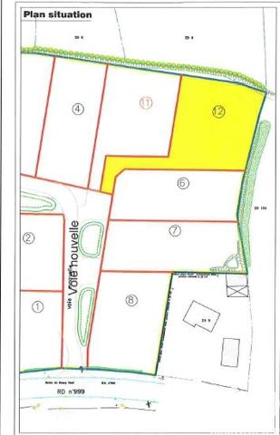
37 000 €
(28,88 €/m²)
Terrain
• 1281 m²
| place | Chérencé-le-Héron | |
| event | Le 4 avril | |