trending_down
249 900 €
(1 785 €/m²)
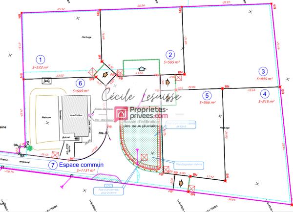
Maison
• 7 pièces
• 140 m²
| query_stats | +1% | par rapport au prix moyen dans la zone |
| savings | 6.55% | de rentabilité brute |
| place | Port-Jérôme-sur-Seine | |
| event |
Le 8 mars
Modifié hier |
|