Prix au m²
82 €
Entre 56 € et 96 €

query_statsStatistiques

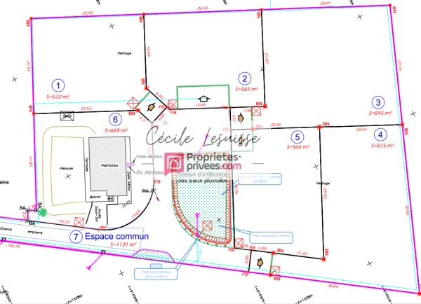
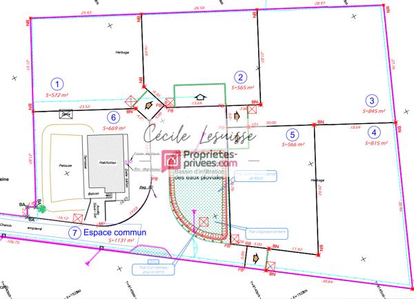
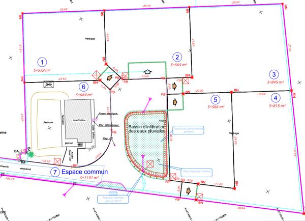
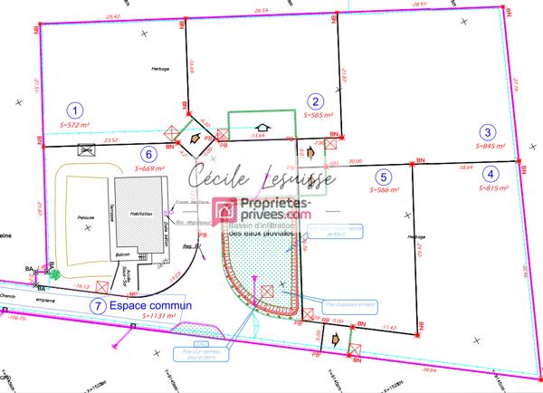
7 terrains à vendre à Port-Jérôme-sur-Seine

sort
Terrain close

Affinez votre recherche

À voir aussi dans la ville de Port-Jérôme-sur-Seine