6 terrains à vendre à Grammond

sort
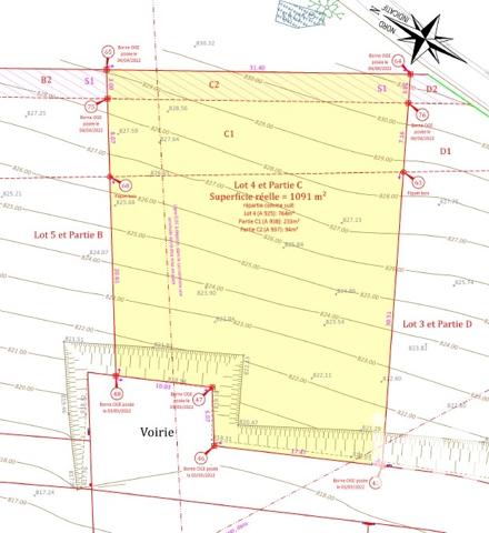
Terrain close

À voir aussi dans la ville de Grammond