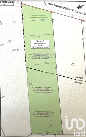
Prix au m²
132 €
Entre 22 € et 233 €

query_statsStatistiques

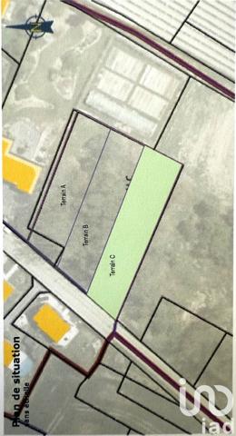
8 terrains à vendre à Prunay

sort
Terrain close

Affinez votre recherche

À voir aussi dans la ville de Prunay