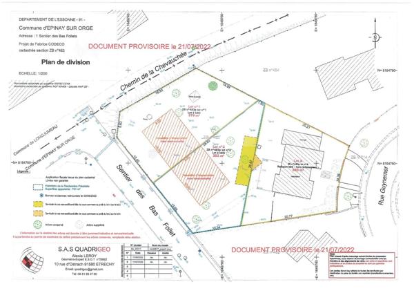
175 000 €
Terrain
| place | Épinay-sur-Orge | |
| event | Le 10 juillet | |