118 000 €
(203,8 €/m²)
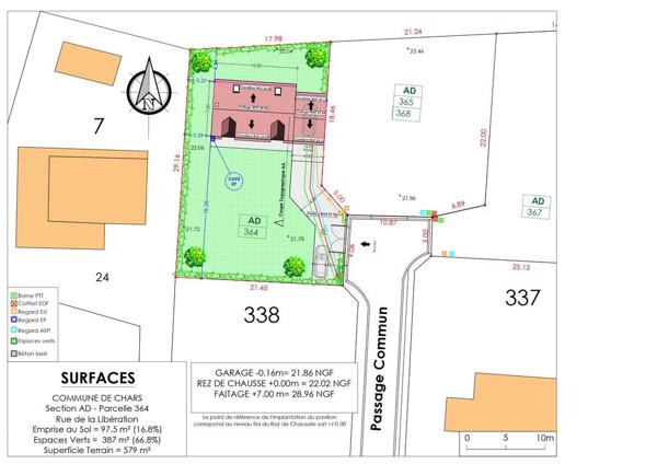
Terrain
• 579 m²
| query_stats | +100% | par rapport au prix moyen dans la zone |
| place | Chars | |
| event | Le 27 février | |