trending_down
244 000 €
(2 103,45 €/m²)
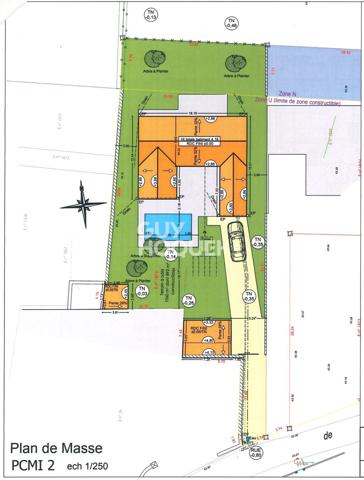
Maison
• 4 pièces
• 116 m²
| query_stats | +75% | par rapport au prix moyen dans la zone |
| place | Saint-Saturnin-du-Bois | |
| event |
Le 4 février
Modifié le 25 mars |
|