trending_down
199 900 €
(388,16 €/m²)
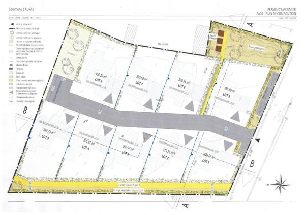
Terrain
• 515 m²
| query_stats | +43% | par rapport au prix moyen dans la zone |
| place | Auray | |
| event |
Le 23 décembre 2025
Modifié le 17 janvier |
|