trending_down
123 500 €
(277,53 €/m²)
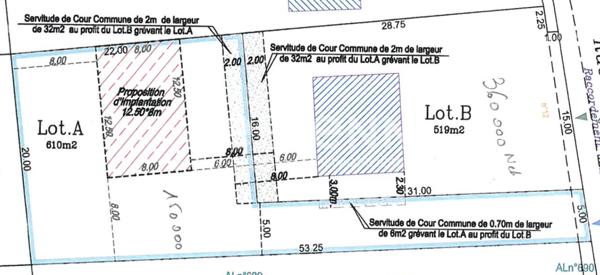
Terrain
• 445 m²
| query_stats | +28% | par rapport au prix moyen dans la zone |
| place | Cerny | |
| event |
Le 23 août 2025
Modifié le 25 février |
|