trending_down
99 000 €
(210,64 €/m²)
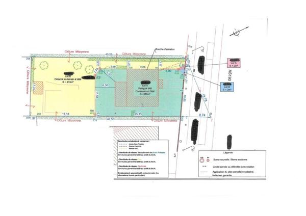
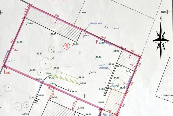
Terrain
• 470 m²
| query_stats | -28% | par rapport au prix moyen dans la zone |
| place | Les Sorinières | |
| event |
Le 14 août 2025
Modifié le 5 février |
|