trending_down
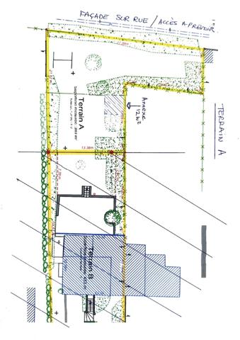
179 900 €
(473,42 €/m²)
Terrain
• 380 m²
| query_stats | +114% | par rapport au prix moyen dans la zone |
| place | Maule | |
| event |
Le 26 mai
Modifié le 4 décembre |
|