trending_down
255 000 €
(812,1 €/m²)
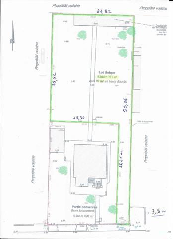
Terrain
• 314 m²
| query_stats | +14% | par rapport au prix moyen dans la zone |
| place | Bruges, Tasta Sud - Petit Bruges - Béquigneaux | |
| event |
Le 20 septembre
Modifié le 17 novembre |
|