trending_down
409 000 €
(595,34 €/m²)
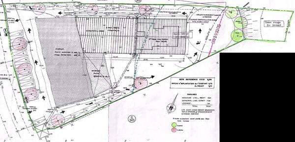
Terrain
• 687 m²
query_stats | +235% | par rapport au prix moyen dans la zone |
place | Mandelieu-la-Napoule, Cottage | |
event |
Le 21 avril 2023
Modifié le 23 septembre |